Industry case studies
Industry case studies
Industry case studies
Flexible and efficient
Flexible and efficient
We're creating space for cities to thrive
Mooven's products can be used in a range of applications. The ability to deploy traffic monitoring at the click of a button creates a flexible tool.
Providing an efficient solution for experimenting.
Mooven's products can be used in a range of applications. The ability to deploy traffic monitoring at the click of a button creates a flexible tool.
Providing an efficient solution for experimenting.
Mooven's products can be used in a range of applications. The ability to deploy traffic monitoring at the click of a button creates a flexible tool.
Providing an efficient solution for experimenting.


Auckland Transport Innovates Safety and Smart Traffic Management
Auckland Transport Innovates Safety and Smart Traffic Management


Georgiou switches gear and fast-tracks delivery
Georgiou switches gear and fast-tracks delivery


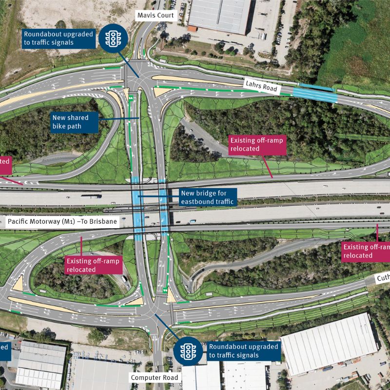
WBHO cuts construction time by implementing automated detours
WBHO cuts construction time by implementing automated detours


Downer Transforms Road Maintenance
Downer Transforms Road Maintenance


Jacobs plans with Queue Monitoring Insights
Jacobs plans with Queue Monitoring Insights


Wellington Water delivers difficult infrastructure, with the help of Mooven
Wellington Water delivers difficult infrastructure, with the help of Mooven

